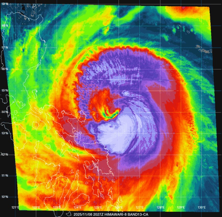
鳳凰「今將變強颱」達顛峰 最快發海陸警報時間曝
你的反應是什麼?
喜歡
0
不喜歡
0
喜愛
0
有趣
0
憤怒
0
悲傷
0
哇
0
